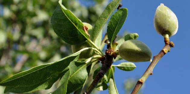
Datça'ya 10 kilometre mesafedeki Kızlan Mahallesi'nde, kış ortasında çağla veren iki badem ağacı görenleri hayrete düşürüyor. Bölgedeki hiçbir ağacın henüz çiçek dahi açmadığı şu günlerde, iki ağacın çağla badem vermesi 46 yaşındaki evsahibi Dudu Dönmez'i mutlu etti. Bahçesinde bulunan badem ağaçlarından sadece ikisinin her yıl erken çağla verdiğini belirten Dudu Dönmez, "İki ağaç bu yıl da Aralık ayı başında çiçek açtı. Aralık ayının son günlerinde ise çiçekler meyveye döndü. Her gün çağla toplayıp konu komşuya dağıtıyorum. Özellikle hamile kadınlar istiyor. Önceki gün bir hamile kadına sadece dört tanecik gönderebildim. Çocuğumun öğretmeni duymuş biraz da ona yolladım. Hamile kadınlardan isteyen olursa onlara da gönderebilirim" dedi.
Erkenci ağacı aşılama yöntemiyle çoğaltmayı düşündüklerini ifade eden Dönmez, "Bahçemizde 6 badem ağacı var. İki ağaç dışında hiçbiri henüz çiçek bile açmadı. Bu iki ağacı 5-6 yıl önce aşılamıştık. O günden beri erkenden çiçek açıyorlar ve Aralık ayında çağla veriyorlar. Bu yıl lodos nedeniyle çiçeklerin bir kısmı döküldü. Geçen yıl bu aylarda dallarda çok daha fazla çağla vardı. Diğer ağaçlara da erkenci ağaçlardan aşılama yapacağız" diye konuştu./Dha
Güncelleme Tarihi: 27 Aralık 2014, 11:02
Erkenci ağacı aşılama yöntemiyle çoğaltmayı düşündüklerini ifade eden Dönmez, "Bahçemizde 6 badem ağacı var. İki ağaç dışında hiçbiri henüz çiçek bile açmadı. Bu iki ağacı 5-6 yıl önce aşılamıştık. O günden beri erkenden çiçek açıyorlar ve Aralık ayında çağla veriyorlar. Bu yıl lodos nedeniyle çiçeklerin bir kısmı döküldü. Geçen yıl bu aylarda dallarda çok daha fazla çağla vardı. Diğer ağaçlara da erkenci ağaçlardan aşılama yapacağız" diye konuştu./Dha